
Noticia
Basado en hechos que el periodista haya observado y verificado de primera mano, o en información verificada que proviene de fuentes bien informadas.
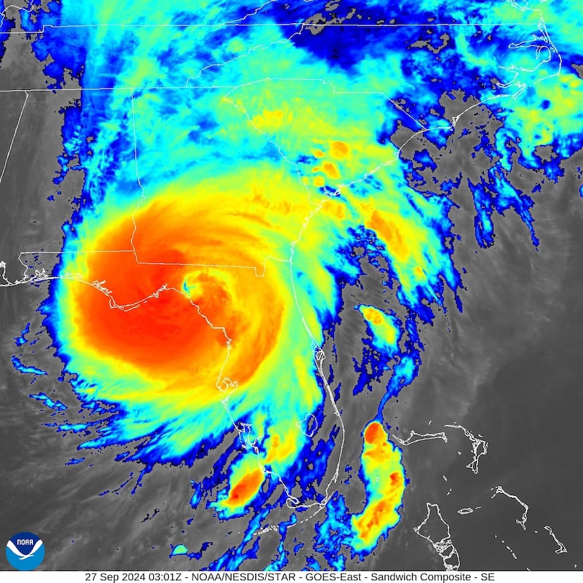
El ojo del huracán Helene entra a la costa noroeste de Florida con vientos de 140 millas por hora
El potente ciclón tocó tierra en el condado de Taylor; el Centro Nacional de Huracanes exhortó a la ciudadanía a permanecer en sus hogares o en refugios.
Archivo
Esta historia fue publicada hace más de 1 año.







%2Fcloudfront-us-east-1.images.arcpublishing.com%2Fgfrmedia%2FU5QUXWC3F5GQDHO52UEGMBRCLU.png?auth=612970aebccaddfde29323853948a775c18b93fdc017e3b6b756c10ce3d9e1f6&quality=75&width=64&height=64&smart=true)
%2Fcloudfront-us-east-1.images.arcpublishing.com%2Fgfrmedia%2FBG2GHDTR7FGE5IKBCZF7E76QIY.png?auth=66b804e6bebd0db39b15c761da085ecf249e8ea06ab88091e74165f94cf56b7f&quality=75&width=64&height=64&smart=true)
%2Fcloudfront-us-east-1.images.arcpublishing.com%2Fgfrmedia%2FXUI2FWFQK5DPXNPT6V276WHNXQ.png?auth=94eac7e8b922e5a79b71e17f170d9ab270d4ba9e200e4d55f2bd5bd126bcc8c6&quality=75&width=64&height=64&smart=true)
%2Fcloudfront-us-east-1.images.arcpublishing.com%2Fgfrmedia%2FSVA5Y6Z5CFCLDHGVHMWTLQ262Q.png?auth=652b25ed8819b7a890ee2eee9498853e3cd613c6e6f080d9bcdce2321db129cd&quality=75&width=64&height=64&smart=true)
%2Fcloudfront-us-east-1.images.arcpublishing.com%2Fgfrmedia%2FXJHYFGMTXZG2XBEPXGC2KF2MFM.png?auth=c252e7a419c55b996209bd06829dcfeca5a3dbd9bc71cc8d8f5fbe6a4aa74f0f&quality=75&width=64&height=64&smart=true)
